Share with a friend

Please check you have entered all details correctly:

Options

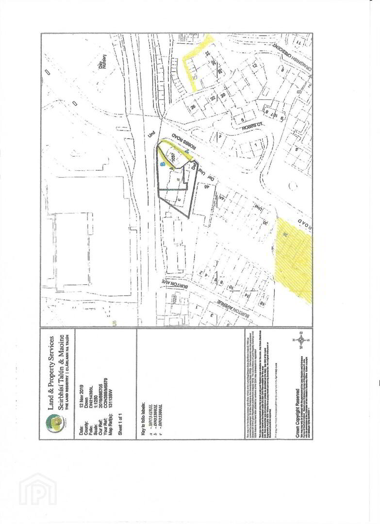
1037 Upper Newtownards Road, Dundonald, Belfast, BT16 1RN

Price £150,000

Key Information

Address 1037 Upper Newtownards Road, Dundonald, Belfast, BT16 1RN
Price £150,000
Style Detached House
Receptions 1
Bathrooms 1
Status For sale

Summary

  • Excellent Development Opportunity
  • Existing Detached Dwelling
  • Potential For Replacement Dwelling - Subject to Planning

Additional Information

Excellent Development Opportunity
A fantastic opportunity with potential to renovate an existing detached property or for a replacement dwelling - Subject to the relevant planning consents.
The site is located in a prominent position on the Upper Newtownards Road, close to Dundonald village.

Entrance Hall

Reception Room - 14'5" (4.39m) Max x 11'9" (3.58m) Max

Reception Room/ Bedroom - 14'6" (4.42m) Max x 11'10" (3.61m) Max

Bedroom - 11'10" (3.61m) x 10'8" (3.25m)

Bathroom - 7'1" (2.16m) x 8'4" (2.54m)

Kitchen Dining - 22'8" (6.91m) Max x 11'10" (3.61m) Max

1st Floor - 30'7" (9.32m) x 12'3" (3.73m)
Conversion potential to 2 bedrooms and bathroom

Exterior
Front, side and rear gardens



Notice
Please note we have not tested any apparatus, fixtures, fittings, or services. Interested parties must undertake their own investigation into the working order of these items. All measurements are approximate and photographs provided for guidance only.